Hurricane Idalia: Strength At Landfall

F.Radio 109 views
Hurricane Idalia: Strength At Landfall

Hurricane Idalia: A Look at Its Landfall Strength

Hey everyone! Let’s dive into the powerful Hurricane Idalia and dissect its strength when it slammed into the Florida coast. Understanding the intensity of a hurricane at landfall is super crucial for assessing the damage, predicting the aftermath, and ultimately, keeping people safe. So, what was the deal with Idalia’s punch?

The Anatomy of a Hurricane: Understanding Strength

Before we get into Idalia specifically, it’s essential to understand how we measure a hurricane’s strength. We use the Saffir-Simpson Hurricane Wind Scale , a cool five-category system, to classify hurricanes based on their sustained wind speeds. Category 1 is the weakest, and Category 5 is the big kahuna, the most intense. It’s like a grading system for these natural monsters. The scale uses the sustained wind speeds over a one-minute period, that is, the winds that the storm can maintain over a minute. This is different from the gusts, which are much shorter bursts of wind. So when you hear “Category 3 hurricane,” that means the winds have sustained speeds between 111-129 mph. Pretty intense, right?

As a hurricane travels over warm waters, it gains energy and its strength increases. The warm ocean water is like the fuel. And when a hurricane makes landfall, it loses this fuel and decreases in strength. The land disrupts the process that keeps the storm going. However, this weakening process can be slow depending on the environmental conditions. It is important to know that the strength of a hurricane at landfall is not the only factor that determines damage. Storm surge, rainfall, and the size of the storm also play critical roles.

The Saffir-Simpson Hurricane Wind Scale

  • Category 1: 74-95 mph (64-82 knots, 119-153 km/h)
  • Category 2: 96-110 mph (83-95 knots, 154-177 km/h)
  • Category 3: 111-129 mph (96-112 knots, 178-208 km/h)
  • Category 4: 130-156 mph (113-136 knots, 209-251 km/h)
  • Category 5: 157 mph or higher (137 knots or higher, 252 km/h or higher)

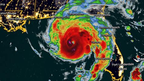
Idalia’s Fury at Landfall: The Numbers

Okay, back to Hurricane Idalia . When Idalia made landfall in the Big Bend region of Florida, it was a Category 3 hurricane . This means the sustained winds at landfall were whipping around at an impressive 125 mph, according to the National Hurricane Center (NHC). That’s some serious wind power! These winds brought down trees, power lines, and caused significant structural damage to buildings. This powerful Category 3 hurricane packed a major punch. And it was coupled with a dangerous storm surge that flooded coastal communities, causing massive damage and displacing residents. The storm also unleashed torrential rain, leading to flooding across the region. The impact of the storm was felt far beyond the immediate landfall location as Idalia moved inland, unleashing its winds, rainfall, and floodwaters.

Now, a Category 3 hurricane is considered a major hurricane. It is capable of causing devastating damage. The damage includes significant structural damage to framed homes, damage to some commercial buildings, and the uprooting of trees. So, you can see why authorities issued urgent warnings and evacuation orders. The NHC provides the most up-to-date and reliable information on hurricane strength, including landfall data. The NHC’s reports include the intensity of the storm, the size, the location, and the movement of the storm. The agency also provides forecasts and warnings so people can take the necessary precautions. Keeping up with these reports is a great idea when a hurricane is headed your way.

Where Did Idalia Make Landfall?

Idalia made landfall near Keaton Beach, Florida, in the Big Bend region. The Big Bend region is a part of Florida where the peninsula curves west, where the coastline changes from east-west to north-south. This area is vulnerable to storm surge because of the shape of the coastline. The shallow waters and the shape of the coastline can contribute to a significant storm surge, pushing water inland.

Factors Influencing the Impact of Landfall

Okay, so we know Idalia was a Category 3. But the impact of a hurricane isn’t just about the wind speed. Several other factors play a huge role in how much damage a storm causes. Let’s look at some of them:

  • Storm Surge: This is the abnormal rise of water generated by a storm, and it’s often the deadliest part of a hurricane. Idalia produced a significant storm surge, flooding coastal areas and causing major damage. The storm surge’s height depends on the hurricane’s intensity, size, forward speed, and the shape of the coastline.
  • Rainfall: Hurricanes dump a ton of rain. Idalia was no exception, causing flooding inland. Flooding can lead to damage to buildings, roads, and infrastructure.
  • Size of the Storm: A larger hurricane will affect a wider area. Even if the winds aren’t as strong, a large storm can still cause widespread damage.
  • Forward Speed: A slower-moving storm can cause more damage because it lingers over an area longer, dumping more rain and subjecting the area to sustained winds for a longer period.
  • Angle of Approach: The angle at which the storm hits the coast can impact the intensity of storm surge. An approach at a right angle can maximize the storm surge.

The Aftermath and Recovery

The aftermath of Hurricane Idalia was a testament to both the destructive power of nature and the resilience of communities. The immediate impact involved widespread power outages, downed trees, and structural damage to buildings. Emergency responders worked tirelessly to assess the damage, rescue those in need, and begin the process of restoring essential services. The recovery period was marked by challenges, including debris cleanup, infrastructure repair, and the emotional toll on residents who lost homes or businesses. Federal, state, and local agencies worked together to provide aid and support. This support included financial assistance, temporary housing, and mental health services. Communities came together to help those who were impacted by the storm. This demonstrated the spirit of unity and resilience in the face of adversity. This hurricane served as a crucial reminder of the importance of disaster preparedness, including having emergency plans, securing homes, and staying informed about weather updates.

Preparedness: How to Stay Safe During a Hurricane

Being prepared for a hurricane is super important. Here are some tips to keep you and your loved ones safe:

  • Know Your Zone: Find out if you live in an evacuation zone. Local authorities will tell you if you need to evacuate.
  • Make a Plan: Have a family emergency plan, including where you’ll go, how you’ll communicate, and what supplies you’ll need.
  • Build a Kit: Pack a disaster supply kit with essentials like water, non-perishable food, a first-aid kit, flashlights, batteries, and a weather radio.
  • Secure Your Home: Trim trees, secure loose objects, and reinforce your home against strong winds.
  • Stay Informed: Monitor the news and weather updates from trusted sources like the National Hurricane Center and your local authorities.
  • Follow Evacuation Orders: If you are told to evacuate, do it! It’s for your safety.

Important Resources

  • National Hurricane Center (NHC): For the latest updates on hurricane tracking, forecasts, and warnings.
  • Local Emergency Management Agencies: For information on local evacuation orders and safety guidelines.
  • Federal Emergency Management Agency (FEMA): For disaster assistance and preparedness information.

Conclusion: The Power of Idalia and Lessons Learned

Hurricane Idalia’s landfall served as a stark reminder of the raw power of nature. Its Category 3 status at landfall, combined with other factors like storm surge and rainfall, led to significant damage and disruption. But it also showed the resilience of communities in the face of adversity. By understanding the strength of hurricanes, the factors that influence their impact, and the importance of preparedness, we can all work together to stay safe and minimize the damage from future storms. Always remember to stay informed, have a plan, and prioritize safety. Stay safe out there, folks! And remember, preparing for these events can really make a difference.