PSE Iilivese: Tracking Hurricanes With Satellites

F.Radio 61 views
PSE Iilivese: Tracking Hurricanes With Satellites

PSE iilivese: Tracking Hurricanes with Satellites

Introduction to Hurricane Tracking Technology

Hey guys! Ever wondered how we keep tabs on those swirling behemoths of wind and rain we call hurricanes? Well, a big part of it involves some seriously cool tech up in space. We’re talking about hurricane tracking satellites, and specifically, something called PSE iilivese. Okay, so “PSE iilivese” might not be the exact name of a satellite (it sounds a bit like a techy code name, right?), but it represents the broader concept of using satellite technology to monitor and predict the paths of these dangerous storms. Let’s dive into how this works.

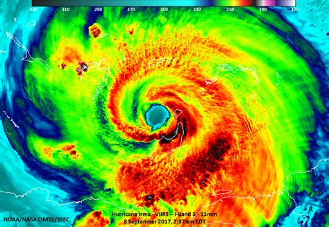
Hurricane tracking satellites are essentially our eyes in the sky, providing a constant stream of data about weather systems. These satellites are equipped with a range of sophisticated instruments that can measure things like wind speed, cloud cover, rainfall, and even the temperature of the ocean surface. This data is crucial for meteorologists to understand the intensity and direction of a hurricane. They use a variety of sensors that peer down at Earth, gathering vital information. These sensors can detect different types of energy, giving us a complete picture of what’s happening inside a storm. For example, infrared sensors measure heat, which helps us see the temperature of clouds and the ocean surface. Microwave sensors can penetrate through clouds, giving us insights into rainfall and wind speeds, even when we can’t see the storm directly.

Why is all this important? Well, imagine trying to predict where a hurricane is going to hit without knowing how strong it is or how fast it’s moving. It would be like trying to drive a car blindfolded! These satellites give us the information we need to make informed decisions, issue warnings, and ultimately save lives. Advanced technologies like synthetic aperture radar (SAR) provide high-resolution images of the storm’s structure, while scatterometers measure wind speeds over the ocean surface. This constant stream of information is fed into sophisticated computer models that simulate the hurricane’s behavior and predict its future path.

And it’s not just about predicting where the storm will go. These satellites also help us understand how hurricanes form and intensify. By studying the data they collect, scientists can learn more about the conditions that lead to these powerful storms and improve our ability to forecast them in the future. By analyzing satellite data , meteorologists can identify patterns and trends that help them refine their forecasting models. For instance, they can track the movement of warm ocean currents, which provide the energy that fuels hurricanes. They can also monitor the upper-level winds that can steer a hurricane in different directions.

The Science Behind Satellite Hurricane Monitoring

So, how do these satellites actually see a hurricane from hundreds of miles away? It’s all about the science, my friends. Weather satellites typically use two main types of orbits: geostationary and polar orbits. Geostationary satellites hover over a fixed spot on the Earth’s equator, providing a constant view of the same area. This is great for monitoring the development of a hurricane in real-time. Polar-orbiting satellites, on the other hand, circle the Earth from pole to pole, providing a more comprehensive view of the entire planet. They pass over different areas of the Earth with each orbit, giving us detailed information about weather patterns around the globe.

Geostationary satellites are positioned about 22,300 miles above the Earth’s surface, high enough that they orbit at the same rate as the Earth rotates. This means they always stay over the same spot, providing a continuous view of the weather in that region. This is particularly useful for tracking hurricanes, as meteorologists can watch the storm develop and move in real-time. For instance, the GOES (Geostationary Operational Environmental Satellite) series operated by NOAA (National Oceanic and Atmospheric Administration) provides continuous imagery of the Atlantic and Pacific Oceans, allowing for early detection and monitoring of hurricanes. These satellites are equipped with advanced sensors that can measure cloud cover, temperature, and humidity, providing valuable data for weather forecasting.

Polar-orbiting satellites fly much lower, typically at altitudes of around 500 miles. They circle the Earth in about 90 minutes, passing over both poles with each orbit. This allows them to cover the entire planet twice a day, providing a comprehensive view of global weather patterns. Polar-orbiting satellites are particularly useful for gathering detailed information about the structure and intensity of hurricanes. For example, the Suomi NPP satellite carries instruments that can measure wind speeds, rainfall rates, and sea surface temperatures, providing valuable data for hurricane forecasting. These satellites also play a crucial role in monitoring other environmental phenomena, such as sea ice extent, vegetation cover, and air pollution levels.

The data collected by these satellites is processed and analyzed by supercomputers, which run complex weather models to predict the future path and intensity of hurricanes. These models take into account a wide range of factors, including atmospheric pressure, temperature, humidity, and wind speed. By combining satellite data with ground-based observations and weather balloon measurements, meteorologists can create a more accurate and detailed picture of the hurricane’s current state and predict its future behavior. The accuracy of these models has improved significantly over the years, thanks to advancements in satellite technology and computer processing power. This has led to more accurate forecasts and better preparedness for coastal communities.

How Satellites Improve Hurricane Forecasting

Okay, so we know satellites collect data, but how does that actually translate into better hurricane forecasts? The key is in the details. Satellites provide a comprehensive and continuous stream of information that simply isn’t available from ground-based weather stations or aircraft. This allows meteorologists to track the development of a hurricane from its earliest stages, identify changes in its intensity, and predict its future path with greater accuracy.

Improved Accuracy: Satellite data helps to improve the accuracy of hurricane forecasts by providing a more complete and detailed picture of the storm’s structure and environment. For instance, satellite measurements of sea surface temperatures can help meteorologists understand how much energy is available to fuel the hurricane. Satellite observations of upper-level winds can help predict how the hurricane will be steered in the coming days. By incorporating this data into weather models , meteorologists can reduce the uncertainty in their forecasts and provide more reliable information to the public.

Early Warnings: Satellites enable earlier warnings of approaching hurricanes by providing early detection of storm formation and intensification. Geostationary satellites can continuously monitor the development of weather systems over the ocean, allowing meteorologists to identify potential hurricanes before they even form. This early warning capability gives coastal communities more time to prepare for the storm and evacuate if necessary, potentially saving lives and reducing property damage.

Better Preparedness: By providing more accurate and timely information about hurricanes, satellites help coastal communities better prepare for these dangerous storms. Accurate forecasts allow emergency managers to make informed decisions about evacuations, resource allocation, and other preparedness measures. This improved preparedness can reduce the impact of hurricanes on communities and help them recover more quickly after the storm has passed. For example, knowing the expected storm surge height can help communities decide which areas need to be evacuated and how to protect critical infrastructure.

The Future of Hurricane Tracking

The future of hurricane tracking is looking bright, with new technologies and improved forecasting models on the horizon. Scientists are constantly working to develop better satellites and sensors that can provide even more detailed information about hurricanes. One promising area of research is the development of hyperspectral imagers, which can measure the spectrum of light reflected by the Earth’s surface with much greater precision than current sensors. This could allow scientists to identify changes in ocean salinity or vegetation stress that might indicate an approaching hurricane.

Advancements in Technology: Future hurricane tracking will benefit from advancements in satellite technology, such as improved sensors, higher resolution imagery, and more frequent data updates. These advancements will allow meteorologists to monitor hurricanes with greater precision and track their development in real-time. For example , new satellite missions are being planned that will use advanced radar systems to measure wind speeds and rainfall rates inside hurricanes, providing valuable data for improving forecast models.

Improved Models: Weather models are constantly being improved to better simulate the behavior of hurricanes and predict their future path and intensity. These improvements are driven by advances in computer processing power, as well as a better understanding of the physical processes that govern hurricane formation and intensification. In the future , weather models will be able to incorporate more detailed information about the ocean, atmosphere, and land surface, leading to more accurate and reliable forecasts.

Collaborative Efforts: Hurricane tracking is a collaborative effort involving scientists, engineers, and government agencies from around the world. By sharing data, knowledge, and resources, these groups can work together to improve our understanding of hurricanes and develop better tools for forecasting and preparedness. This collaboration is essential for protecting coastal communities from the devastating impacts of these powerful storms. For instance, international partnerships allow for the sharing of satellite data and expertise, leading to better forecasts and warnings worldwide.

So, while PSE iilivese might not be a specific satellite you can point to in the sky, it represents the awesome power of satellite technology in keeping us safe from hurricanes. Next time you see a hurricane forecast, remember the hard work and innovation that goes into making those predictions possible!