Tracking Ipseifloridase Hurricanes: A Satellite View

F.Radio 19 views
Tracking Ipseifloridase Hurricanes: A Satellite View

Tracking Ipseifloridase Hurricanes: A Satellite View

Alright, guys, let’s dive into something super fascinating: tracking ipseifloridase hurricanes using satellites. Now, I know what you might be thinking: “What in the world is an ipseifloridase hurricane?” Well, for the purpose of this article, let’s consider it as a hypothetical weather event which we will track. Using satellites to monitor these events provides invaluable data and insights that can help us understand their behavior and potential impact. Let’s break down how this works and why it’s so important.

Why Use Satellites for Hurricane Tracking?

So, why satellites? Well, imagine trying to keep an eye on a massive, swirling storm from the ground. Pretty tough, right? That’s where satellites come in. Satellites offer a unique vantage point , providing a bird’s-eye view of the entire hurricane system. This comprehensive perspective is crucial for several reasons:

  • Wide Coverage: Satellites can monitor vast areas of the Earth’s surface, allowing us to track hurricanes as they form and move across oceans.
  • Remote Sensing: They use remote sensing technology to gather data without physically being in the storm. This means they can collect information on temperature, wind speed, and cloud cover from hundreds or thousands of kilometers away.
  • Continuous Monitoring: Satellites provide continuous, real-time data, which is essential for tracking the ever-changing dynamics of a hurricane. This constant stream of information helps meteorologists and researchers stay ahead of the storm.
  • Data Collection in Inaccessible Areas: Hurricanes often form and travel over remote ocean areas where ground-based observations are limited or non-existent. Satellites fill this critical data gap.

By leveraging these advantages, we gain a much clearer and more detailed understanding of hurricane behavior, which is vital for forecasting and preparedness efforts. Think of satellites as our eyes in the sky , constantly watching and reporting on these powerful storms.

Types of Satellites Used

Not all satellites are created equal, especially when it comes to tracking hurricanes. Different types of satellites use different technologies to gather specific types of data. Here are the main types of satellites used for hurricane monitoring:

  • Geostationary Satellites: These satellites orbit the Earth at the same rate as the Earth’s rotation, meaning they stay fixed over a specific location. This allows them to provide continuous, real-time imagery of a particular region. GOES (Geostationary Operational Environmental Satellite) is a prime example, providing constant monitoring of the Atlantic and Pacific hurricane basins. The consistent view from geostationary satellites is incredibly valuable for tracking the movement and development of hurricanes over time. These satellites give us a play-by-play of the storm’s journey .
  • Polar-Orbiting Satellites: Unlike geostationary satellites, polar-orbiting satellites circle the Earth from pole to pole. This means they pass over different areas of the globe with each orbit. While they don’t provide continuous coverage of a single location, they offer higher resolution imagery and can gather data on atmospheric conditions in areas not covered by geostationary satellites. Instruments like those on the Suomi NPP and NOAA-20 satellites provide detailed information on temperature, humidity, and wind profiles, which are crucial for understanding hurricane intensity and structure. Think of polar-orbiting satellites as the detail-oriented surveyors , providing in-depth snapshots of the storm.
  • Microwave Satellites: These satellites use microwave sensors to penetrate clouds and measure rainfall rates and wind speeds within a hurricane. This is particularly useful because it allows us to see what’s happening inside the storm, even when it’s obscured by thick cloud cover. The Tropical Rainfall Measuring Mission (TRMM) and the Global Precipitation Measurement (GPM) mission are examples of microwave satellites that have significantly improved our understanding of hurricane precipitation patterns. Microwave satellites are like X-ray vision for hurricanes , allowing us to see through the clouds.

Each type of satellite provides unique and complementary data, contributing to a more complete picture of hurricane behavior. By combining data from different satellite platforms, meteorologists can develop more accurate forecasts and better understand the complex dynamics of these powerful storms.

Data Collected by Satellites

So, what kind of information do these satellites actually collect? It’s a lot more than just pretty pictures! Satellites gather a wide range of data that helps us understand and predict hurricane behavior. Here are some key data points:

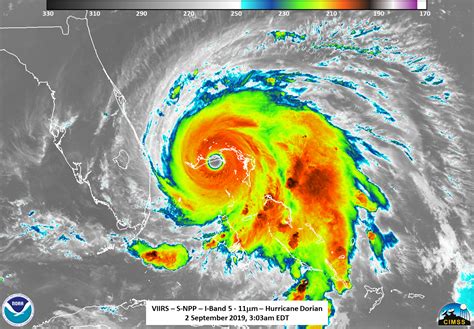
  • Infrared Imagery: Infrared sensors measure the temperature of clouds and the sea surface. This information helps us identify areas of strong convection (rising air) within the hurricane, which is an indicator of its intensity. Colder cloud tops generally indicate stronger storms. Infrared imagery is also used to track the movement of the hurricane and identify its eye, the calm center of the storm. Infrared imagery is like taking the temperature of the hurricane , helping us gauge its strength.
  • Visible Imagery: Visible imagery provides a visual representation of the hurricane, showing the size, shape, and structure of the storm. While it’s limited by cloud cover (you can’t see through clouds with visible light), it’s still useful for tracking the overall appearance of the hurricane and identifying features like the eye and spiral bands. Visible imagery is like taking a photograph of the hurricane , giving us a clear picture of its appearance.
  • Microwave Data: As mentioned earlier, microwave sensors can penetrate clouds and measure rainfall rates and wind speeds. This is crucial for understanding the internal structure of the hurricane and identifying areas of heavy precipitation and strong winds. Microwave data is particularly valuable for tracking hurricanes that are obscured by cloud cover. Microwave data is like an MRI for hurricanes , revealing what’s happening beneath the surface.
  • Wind Speed and Direction: Satellites can measure wind speed and direction using a variety of techniques, including scatterometers and microwave radiometers. This information is essential for understanding the strength and structure of the hurricane. Wind data is used to identify the location of the storm’s strongest winds and to track changes in wind patterns over time. Wind data is like measuring the hurricane’s breath , telling us how forcefully it’s blowing.
  • Sea Surface Height: Some satellites use radar altimeters to measure the height of the sea surface. This data can be used to detect storm surges, which are abnormal rises in sea level caused by the hurricane’s winds. Storm surges are one of the most dangerous aspects of hurricanes, so accurately predicting them is crucial for protecting coastal communities. Sea surface height data is like measuring the hurricane’s footprint , showing us how much it’s impacting the ocean.

By collecting and analyzing this data, meteorologists can develop more accurate forecasts of hurricane intensity, track, and potential impacts. This information is vital for issuing timely warnings and preparing communities for the arrival of these powerful storms.

How the Data is Used for Forecasting

Alright, so we’ve got all this data from satellites – what do we actually do with it? The data collected by satellites is a critical input for hurricane forecasting models. These models use complex mathematical equations to simulate the behavior of hurricanes and predict their future path and intensity. Here’s how the satellite data is used:

  • Model Initialization: Satellite data is used to initialize the forecasting models, providing them with a snapshot of the current state of the atmosphere and the hurricane. This includes information on temperature, humidity, wind speed, and cloud cover. The more accurate and complete the initial data, the more accurate the forecast will be. Think of it like giving the model a starting point , setting the stage for its predictions.
  • Data Assimilation: As the hurricane evolves, new satellite data is continuously fed into the models through a process called data assimilation. This helps to correct any errors in the model and keep it up-to-date with the latest observations. Data assimilation is particularly important for tracking rapidly changing hurricanes. It’s like giving the model constant updates , ensuring it stays on track.
  • Model Validation: Satellite data is also used to validate the accuracy of the forecasting models. By comparing the model’s predictions with actual observations, scientists can identify areas where the model is performing well and areas where it needs improvement. This helps to refine the models and improve their accuracy over time. It’s like checking the model’s work , ensuring it’s producing reliable results.

In addition to being used in forecasting models, satellite data is also used by meteorologists to make their own subjective forecasts. By analyzing satellite imagery and data, meteorologists can identify patterns and trends that may not be captured by the models. This combination of model output and human expertise leads to the most accurate and reliable hurricane forecasts. It’s a team effort between computers and humans , combining the strengths of both.

Challenges and Future Directions

While satellite technology has revolutionized hurricane tracking and forecasting, there are still challenges to overcome. One of the biggest challenges is improving the accuracy of intensity forecasts. While we’ve made significant progress in predicting hurricane track, predicting how strong a hurricane will become is still difficult. This is because hurricane intensity is influenced by a complex interplay of factors, including sea surface temperature, atmospheric conditions, and internal storm dynamics.

Another challenge is improving the timeliness of data delivery. While satellites provide real-time data, there can be delays in processing and disseminating this information to forecasters. Reducing these delays is crucial for issuing timely warnings and preparing communities for the arrival of hurricanes.

Looking to the future, there are several exciting developments on the horizon. One is the development of new satellite sensors that can provide even more detailed information on hurricane structure and intensity. Another is the use of artificial intelligence (AI) and machine learning (ML) to improve forecasting models. AI and ML algorithms can analyze vast amounts of data and identify patterns that may not be apparent to human forecasters. The future of hurricane forecasting is bright , with new technologies and techniques promising to improve our ability to predict and prepare for these powerful storms.

So, there you have it – a look at how satellites are used to track ipseifloridase hurricanes. It’s a complex and fascinating field, and one that plays a vital role in protecting communities from the devastating impacts of these storms. Keep your eyes on the skies, folks, and stay safe!